5/26/25, a few months later
Rambles about local history, cemeteries, the Hunger Games and aeronautic maps.
N.b.: I started writing this a long time ago (in May) and then finished it a long time ago (in June) and then never hit send. I’m sending it now, mostly to get it out of my head and somewhere in the ether, and it’s an interesting little snapshot of what spring-into-summer was like.
N.b., 2: I started re-writing/editing/formatting this two weeks ago, and then things got more chaotic, and I never hit send. Fair warning, it’s pretty long. So:
“Current” (9/21/25) updates from me:
I’m almost done with my fellowship with NYT! Story TK and, as some of you saw, I’m avidly job-hunting. Any leads are appreciated, and I’m excited to be jumping into some fun contract work these next few months, too.
Things are kind of haywire. I’ll write something up soon that’s more introspective and coherent and witty and whatever about it, but I’ve been dealing with some health issues that have just utterly consumed everything, and I’m writing this from a hospital waiting room (but not here for me!). It’s made me think a lot about working in journalism with a chronic illness or disability, about information accessibility, the power of community and the wonders of modern medicine.
It’s so hot here in Chicago in a way that makes me yearn for winter. (I’m dodging tomatoes being thrown from the crowd as I type this.)
5/26/25 (5-2-6-2-5!!!), finished on 6/9/2025
Local history, local cemeteries, maps, The Hunger Games, Monday baseball
It’s Memorial Day. I’m sitting on the couch at my parents’ house listening to baseball, surrounded by dogs. Cubs against Rockies, top of the second inning, 0-1-Cubs. The windows are open and I can hear my dad on his relentless quest to “fix the lawn” and re-sod the backyard. My mom is weeding and planting ferns and hostas, in spite of the deer and bunnies, and she’s got David Byrne blasting from the phone in her pocket.
It is the perfect temperature outside (just a little chilly, but sunny and nice). Jules (my sister, for the uninitiated!) and I tried to visit Boardman Cemetery, which is only open on Memorial Day and Halloween every year. They closed at 1, and we arrived at 12:40 to locked and closed gates. 👎

Boardman is cool, but after all these years of living not far away, I’ve never been inside. It’s the home of multiple settlers of Bolingbrook and Will and DuPage counties, including the Barber family. During the Black Hawk War, they settled along Route 53 and Boughton Road, and soon after named the area Barber’s Corners, now marked only by a plaque on a big rock at a busy intersection.

Barber’s Corners long predates Bolingbrook as a place name. The entire area is fascinating, and the whitewashing, then collective forgetting, of that history is disappointing. You can find Barber’s Corners on maps even now, and USGS still has it in the GNIS registry as an unincorporated CDP. (??????)
There’s a great blog post about the history of Barber’s Corners from Heidi Haverkamp, who lived in Bolingbrook from 2007 to 2016 while serving as a vicar at a local Episcopal church, St. Benedict’s (where she says she lived amongst the “spiritual geography of strip malls and cornfields,” which, felt). Her blog is a great resource for local history around here, and I love reading it.

It certainly is up there with what the Bolingbrook Historic Preservation Commission has to offer, including the books “Bolingbrook Does Too Have A History, Vol. 1,” and “Bolingbrook Has Even More History, Vol. 2,” plus “Bolingbrook Keeps Making History, Vol. 3” all compiled by James D. Bingle.

Bingle died in 2015 and had an insanely fascinating upbringing. Born in Ohio, raised in Alaska (in the 1940s!) and then moving to DuPage Township, he was a township assessor and the founder of the local historical society. It’s arguably mostly because of him that Boardman still exists.
The lore goes that after a “local girl” (her name is Lois Michael, and she was 16) came across the cemetery in 1972, and contacted then-assessor Bingle, who worked to restore the space, get the county to will the property to the township, and then set up its maintenance and care for the future. It had been largely abandoned since the 1920s.

It’s almost like a breath of fresh air to see things be preserved for posterity. The Fountaindale Library scanned many of their genealogical and historical records into the Internet Archive, including this scrapbook of the Boardman Cemetery committee, where I spent hours poring over records and clips about the archiving and restoration work they did on the cemetery.

It includes letters and records from people who somehow came into possession of headstones, including a woman who mailed a headstone to Bingle to restore after finding it at a garage sale.

That ended up being the grave of Chauncey Royce II, who died as an infant and was the great step-grandson of Captain Harry Boardman, who maybe sort-of did or didn’t found Traverse City. (He’s also the namesake of the cemetery itself.)

Bingle is one of four people who have been buried there since 1927; his wife, a former Bolingbrook village president and a baby are the others. Otherwise, Boardman is pretty much closed for business. I haven’t been able to track down the most recent burials, or details about them. I guess I’ll wait until Halloween to ask in person.
Other things I learned about over the past few weeks:

I was reminded of Mount Weather after seeing the newest Mission Impossible. There’s this insane sweeping shot of the inside of Mount Weather that has huge, floor-to-ceiling maps, and light up tables with relief maps as well; you can see it a little bit in the photo of Tom Cruise trying to make a case for Dianetics. (lol)
It seems like such a fantasy, and to an extent it kind of is. There’s so much but also so little known about Mount Weather in general (and I’ll get to that in a second), but seeing these cool closeups of people on ladders scribbling on maps takes me way back to when I toured the Churchill War Rooms in 2017. (Long time ago.)

Barring the military-industrial-complex of it all, I think it’s actually an interior decorating dream to have floor to ceiling maps. I have a little taster of that in my office-dining room combo, thanks to Tim Wallace — when I was in New York for onboarding last year for the fellowship, he slipped me a copy of the Times’ gorgeous interactive and print runs of Microsoft’s building footprint data for Chicago.

It currently spans the distance from my desk to the ceiling in a narrow strip of wall beside the window, seemingly perfectly sized for that graphic specifically. It makes me long for this huge — and I mean huge — map canvas of Rome (a place I have never been) gifted/unloaded onto my old roommates and I.
She was moving out, and wanted to know if we wanted it. It fit perfectly in the space, and I didn’t take it with me to my new place after that, though I’m not sure why. I have no idea what my roommates did with it when they moved; I wonder if it hangs in their place now.

I recently reread about the development of the Hunger Games franchise, and rewatched all the movies: I’ve seen this pop up here and there in viral Instagram and TikTok posts, but Suzanne Collins channeled a combination of her father’s PTSD from serving in Vietnam with her own anxieties and disillusionment with the invasion of Iraq. There’s a lot of staying power with that.

I was trying to explain to my sister how possibly important Hunger Games was and is to helping American teens contextualize state-sanctioned violence. I asked her if she remembered anything about Michael Brown’s death in 2014 — she was 9, I’d be surprised if she did. She said no. I told her that it was quite possibly one of the most visible, pressing day-to-day conversations that we’d have in class as the protests were playing out and Black Lives Matter took off online.
And side by side would be fandom content, new ads, playlists, edits, photoshoots, awards shows, all of it, for Mockingjay. Uncanny considering the origin of the series, but also something doomed to repeat itself. I am not the only person to see that connection, or to have deeper thoughts about the response to that connection mapping over to real life.
For years after Ferguson, I remember seeing posts online about how this — Gen Z — is a generation built on dystopian novels, movies and TV series that preach resisting authority, standing up for justice, and on, and on. That no wonder we’d be out in the streets fighting for our lives when we’ve had our feet to the fire in real life and in popular culture. Anyway.

She found it hard to grasp until I made the unfortunate connection for her that her eye-opening moment would be George Floyd’s murder; she was the same age then as I was when Michael Brown was killed.
There’s a teacher that keeps coming up on my feed who reads the Hunger Games books to her students, and has them work through the underlying lessons and themes of the series. Her students are vocal and angry and intelligent and quick with putting things together when she hits every conceit and moment of character development. It makes me wonder what’ll happen ten years from now, and what will be used to help explain it.

Anyway. This is really just a half-baked thought that also is commingled with 1. the “duh, that was the plot of Cabaret” trend earlier this year (in which people lamented that we had brat summer that then was “fascist winter”, and then others (including me, to be fair, who saw Cabaret in October) quipped back that it is literally the plot of the musical), 2. having prepper content constantly recommended to me on Instagram and being prompted to think about societal collapse in between sourdough bread recipes and videos of puppies, and 3. looking back at everything playing out in L.A. — raids and protests alike — and dontevengetmestartedaboutChicagoorI’llcry. (There’s a permanent, ulcerous pit in my stomach about that.)

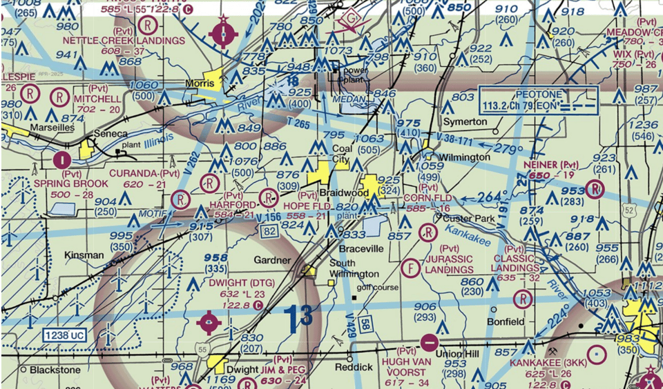
Speaking of, in an effort to curb my instagram addiction (always), I’ve been looking at VFR maps. A lot. Sectionals, or VFR maps, are a form of navigational aids for pilots, and they often detail a lot about local history, landmarks, infrastructure, military movements and training areas, and national security. They’re wildly information dense, a bit of a headache to untangle, but really interesting at lifting out why some places are the way they are, or revealing an additional layer of insight that you didn’t know existed before.
Jon Keegan beat me to a blog post about this last year (shakes fist) but it’s a great resource for learning more. Some of my favorite parts of VFR and VFR-adjacent rabbit holes that the maps can bring up include being able to see the hidden boundaries and locations of VORTAC/VHRs, which are radio frequency navigational systems, and of different check-ins and waypoints that often have nicknames based on the local history, culture or inside jokes, set by ATC.
An aside on VORTACs — those things look crazy. Crazy! This is the one just on the edge of Lynwood and Ford Heights:

Like… what is that! What the heck is that! If everything in the area went to shit a la Station Eleven, and all that was left was a VORTAC, I’d be confused.
On the waypoint front: Des Moines regional airport, for example, has genuinely tickled me pink with theirs, including KORRN, HEEVN (no, it’s Iowa), ICUBS (go minor league!), MANAA (another heaven reference?). Ames municipal airport has the great EIEIO, which just makes me laugh, too.

These maps are so wildly information dense, including when it comes to military operations. The hashing and marking on the maps is quite distinct to separate restricted airspace from other types of airspace, and it’s sometimes easy, sometimes hard to find more information about each MOA, or military operations area, and the types of things they’ll be undertaking within that area that might make it unsafe or restricted for civilians. Typically, especially out in the Midwest, they’re doing night flying or interception training at some of the air national guard or (downstate) the Air Force.
I like using VFRMAP, but SkyVector is also a cool tool. You can also find them through the Library of Congress (for the really old ones) and the FAA website (for the most up-to-date ones). Here’s a high quality PDF key to decode what they mean.
Here’s the satellite view of the first VFR map. Totally different perspective:

Where have I been/where will I be:
The next couple weeks, I won’t be in Chicago, that’s for sure. I’m excited to visit New Orleans for the first time ever for the IRE conference next week, even though I still have a boatload of prepwork to do for my sessions. I’ll be back and forth in the suburbs
(nb: This was accurate as of May 2025, of course. As of September, it’s still about the same, sans conferences. I’m writing and (loosely) editing this from a hospital waiting room, which I’ll write more about later. But I’m still constantly going back and forth from the suburbs to the city, always and forever.)
Cut for time:
Coming back to those scrapbooks
There are just too many cute things to share and not overlook from my digging of Boardman, including this scrapbook of the Bolingbrook Garden Club. All of them are in the Internet Archive, and as someone who pored over very different kinds of scrapbooks a few years ago, I’m happy to have a change here.


Cemeteries
I’ve been spending a lot of time at cemeteries, actually. There’s something sad and interesting and fascinating about them, and I’ve always been kind of taken by them and the history they hold — it’s fitting, then, that the first class I took at DePaul was on the rural garden cemetery movement, the Victorian-era trend in cemetery design that makes up a sizeable chunk of Chicago’s cemeteries.
There are just so many stories to tell from them, especially about family dynamics, the mysterious staying power of legacies and what we want people to know about us when we’re gone, and the in-your-face reminder of death.
A shortlist of cemeteries that are on my mind right now, outside of Boardman:
Maple Hill, which was in the boonies and is now neighbors with a Walmart warehouse. Almost all of the mayors of the nearby town are buried here.

Jackson Creek cemetery, not that far away, which is just listed as “inaccessible,” (could you imagine?) per lauded Illinois history researcher + writer Matt Hucke (whose book, Graveyards of Chicago alongside Ursula Bielski, is very good!) and his blog, which is a treasure trove for local history and decaying places.

St. Joseph’s Bohemian Orphanage cemetery, which is located on the grounds of my high school. (Gasp!) Long attracting paranormal experts and goth teens like a moth to a flame, it’s nestled in between the baseball fields and the parking lot. I used to park next to it all the time when I’d run late — especially when I was too late to sneak in a side door and had to sign in late, feigning some traffic jam or car trouble or boy (lol) trouble or whatever. At night, I used to drive here and just sit, either alone with some music or talking into the early hours with friends.

The cemetery, pre-houses being built; present day, the cemetery is surrounded by rows of suburban homes and big backyards behind the headstones, a baseball field on the other side, and cars poorly-parked by teenage students at Benet. I’ll have to write more about Benet (and other Catholic high schools in the Chicagoland area) in the future, because the history there is insane and fascinating.
A note, from 10/5/25: So. It’s been a chaotic few weeks, especially, and the past year alone has been a whirlwind of a time. My fellowship with NYT is over (!), but the story I’m working on is in the home stretch! In the meantime, I’m opening my books for freelance and contract roles, and looking for a new place to land to do full-time reporting.
I’ve got more written up here about it.
I’ll get around to writing this more regularly in the meantime, with less of a firehose-of-information-y type approach, probably.
Take care!
Cam
You just read issue #3 of junk drawer. You can also browse the full archives of this newsletter.